El huracán Humberto se hace más fuerte mientras se dirige a las Bermudas

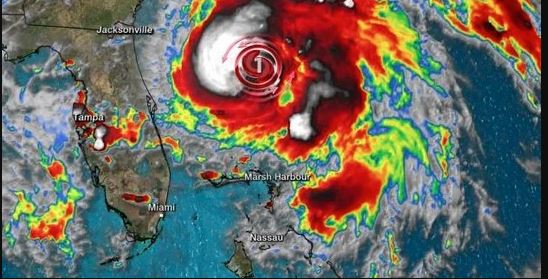
El huracán Humberto se hizo más grande y más fuerte en las últimas horas, en las que alcanzó la categoría 2 de la escala Saffir-Simpson, en su rumbo hacia las Bermudas, informó este martes el Centro Nacional de Huracanes (NHC) de EEUU.
El ciclón presenta ya vientos máximos sostenidos de 100 millas por hora (160 kilómetros por hora) y se prevé que esta próxima noche o el miércoles alcance la categoría 3 en esta escala, que mide los huracanes por la intensidad de sus vientos, es decir más de 110 millas por hora (177 km/h).
Con esa fuerza pasaría el miércoles por la noche cerca del noroeste de las Bermudas, islas de las que se encuentra a 555 millas (895 km) hacia el oeste y hacia donde se dirige a 8 millas por hora (13 km/h).
Por este motivo, las autoridades locales de este territorio insular británico ya emitieron una alerta de paso de huracán en las próximas 36 horas.
El NHC, con sede en Miami, indicó en su último boletín, emitido a las 08.00 hora local (12.00 GMT) que el ojo “grande y desigual” de Humberto acelerará su velocidad de traslación hasta la madrugada del jueves.
Aunque no se prevé que toque tierra en este archipiélago del Atlántico Norte, los vientos huracanados podrían sentirse en la isla, pues se extienden hasta 30 millas (45 km) desde el centro del ciclón.
Junto a los intensos vientos, Humberto podría dejar fuertes lluvias en las islas, con acumulaciones de hasta 3 pulgadas (7,5 centímetros), y peligrosas condiciones marinas.
Ana Jimenez
Ana Jimenez
Artículos: 5675